🚨新規売地情報!✨
2025/10/16
🚨新規売地情報!✨
夢のマイホームにぴったりな土地、
姫路市香寺町溝口で見つかりました!
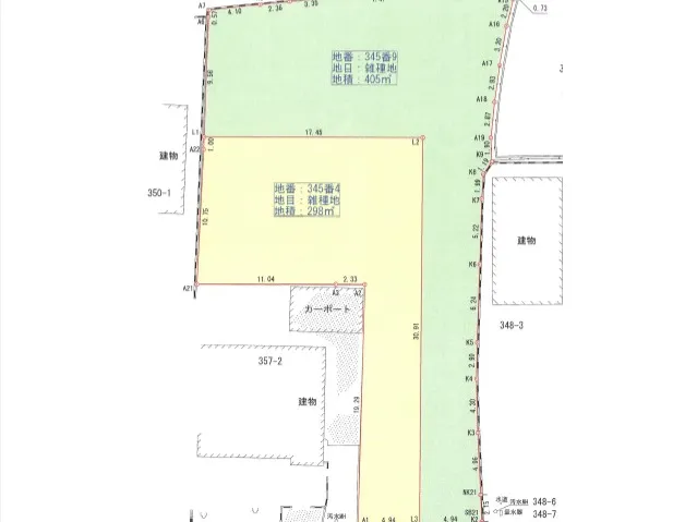
1号地は90.14坪で1230万円、
2号地は122.59坪で1530万円!
JR播但線 溝口駅まで徒歩4分!
駅近も嬉しいポイント🚆💨
建築条件なしだから、お好きなハウスメーカーを選んで、理想の家を実現可能✨
広い敷地をどうアレンジするかはあなた次第🌿✨
平屋を贅沢に建てたり、家庭菜園を楽しんだり、
DIYで遊具を作ったり🏡
手がける楽しみがいっぱい!
想像するだけでワクワクが止まらないですね💭
お気軽にお問い合わせください📞
素敵な暮らしのお手伝いをします!
#姫路市
#不動産
#売地情報
#香寺町
#溝口駅
#マイホーム
#土地販売
#注文住宅
#自由設計
#理想の暮らし
#駅近物件
#広い敷地
#庭付き
#家庭菜園
#平屋生活
#DIY
#ハウスメーカー
#建築条件なし
#住まい探し
#新生活
#田舎暮らし
#駅近生活
#快適生活
#愛犬と暮らす家
#子育て環境
#夢のマイホーム
姫路市の不動産屋、まちの不動産屋さん 有限会社松尾商会は、京口駅から徒歩6分の場所にございます。 不動産売買や賃貸の仲介、不動産管理、リフォームなど、住まいに関するお困りごとはございませんか? 弊社は姫路を中心に、兵庫全域・大阪全域を対象エリアとして、幅広いサポートを行っておりますので、不動産売却・買取をご希望の方や、おすすめの賃貸物件をお探しの方はお気軽にご相談ください。












